Box / posti auto in affitto

Pistoia, Via Atto Vannucci - Pistoia Centro
€ 350 / mese
1 locale 1 locale
21 Mq 21 Mq
1 bagno 1 bagno

Box / posti auto in affitto

Pistoia, Via Atto Vannucci - Pistoia Centro

Descrizione annuncio

PISTOIA

CENTRO STORICO

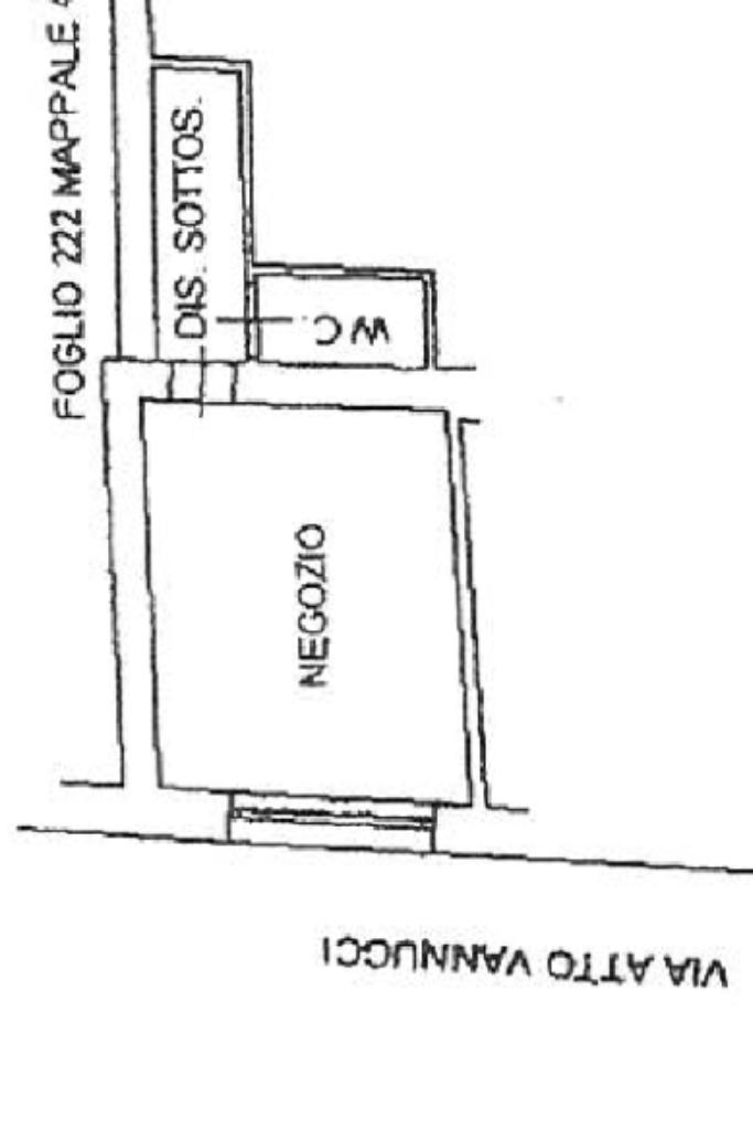
In zona ztl, in una delle vie di forte transito nel centro della città: Proponiamo in affitto un fondo commerciale di circa 21 mq.

Il fondo è composto da un primo vano ad uso negozio, un ripostiglio ed un bagno.

L'immobile sarà disponibile da Gennaio 2026.

Per maggiori informazioni chiamare allo 0573.765540

Mostra tutto

Nelle vicinanze

Trasporto pubblico Trasporto pubblico
stazione di Pistoia
stazione di Pistoia
340 m
Pistoia Ovest
Pistoia Ovest
1,1 Km
Trasporto pubblico
50 m
P. Garibaldi
P. Garibaldi
150 m
Ricariche auto elettriche Ricariche auto elettriche
Parcheggio Stazione di Pistoia | EnelX
330 m
Esselunga di Porta Nuova
840 m
Punto Enel di Pistoia | EnelX
1,0 Km
COOP Pistoia Sala Soci | EnelX
1,1 Km
COOP Pistoia | EnelX fast
1,1 Km
Scuole Scuole
Scuola Elementare Carlo Collodi
140 m
Scuola Media Statale Guglielmo Marconi
370 m
Scuole
390 m
Liceo Classico Forteguerri
540 m
Istituto A. Pacinotti
650 m
Farmacia Farmacia
Farmacia De Candia
160 m
Farmacia
320 m
Nannucci
340 m
Farmacia Banci
410 m
Farmacia Comunale 2
960 m
Ospedali Ospedali
Ospedale San Jacopo
1,6 Km
Pronto Soccorso Ospedale San Jacopo
1,6 Km
Supermercati Supermercati
Sigma
280 m
PENNY
680 m
Esselunga
760 m
Conad City
890 m
Conad
1,1 Km
Negozi Negozi
OVS
50 m
Negozi
80 m
Guercini
90 m
Street 67
280 m
Pan di Sole
280 m
Bar Bar
Bar
110 m
Pasticceria da Carmine
120 m
Ice Cafè
270 m
Bar Donati
290 m
Racy Mood
300 m
Ristoranti Ristoranti
Il cucciolo
280 m
La Tavolaccia
290 m
Voronoi
300 m
Da Ale
300 m
Taverna Gargantuà
310 m
Mostra tutto

Caratteristiche

Rif.:
61128245
Piano:
Terra di 3
Totale piani:
3
Camere da letto:
1
Arredamento:
Assente
Condizionamento:
Autonomo
Mostra tutto
Prezzo Prezzo
€ 350 / mese
Spese annue Spese annue
€ 100

Classe Energetica

G
G
G
G
G
G
G
G
G
EP globale non rinnovabile:
64.40 kW h/m² anno
EP globale rinnovabile:
64.40 kW h/m² anno
EP invernale del fabbricato:
EP estiva del fabbricato:
Anno di costruzione:
1967
Riscaldamento:
Autonomo
Tipo impianto:
Ad aria
Tipo alimentazione:
Aria

Ti interessa visionare l'immobile?

Fissa un appuntamento  Fissa un appuntamento

Richiedi informazioni

* Questi campi sono obbligatori
Affiliato
Studio Pistoia Centro Sas
Corso Silvano Fedi, 49/51 51100 Pistoia (PT)

Il nostro staff


  • Francesco Mario Primo Brilli
    Affiliato

  • Zahra Batool
    Collaboratrice

  • Elisa Danesi
    Responsabile

  • Hiba Elhamri
    Collaboratrice

  • Eleonora Manfredini
    Collaboratrice

  • Matilda Nikolla
    Coordinatrice
Corso Silvano Fedi, 49/51 51100 Pistoia (PT)
Zona: Pistoia Centro Città
Mostra su mappa
Affiliato
Studio Pistoia Centro Sas
Corso Silvano Fedi, 49/51 51100 Pistoia (PT)

2025 Tecnocasa Franchising S.p.A. - P. IVA 08365160152 - Via Monte Bianco 60/A 20089 Rozzano (MI). Ogni agenzia ha un proprio titolare ed è autonoma. Privacy policy | Policy utilizzo | Cookie policy